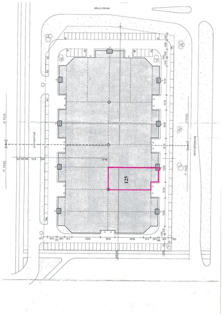
Platinastraat 125, 2718 ST Zoetermeer
Omschrijving
Te huur bedrijfsruimte
Platinastraat 125, 2718 ST Zoetermeer
ALGEMEEN
De Platinastraat is gelegen op het bedrijventerrein Lansinghage en is via de Lansinghageweg en de Oostweg eenvoudig vanaf rijksweg A-12 (Den Haag-Utrecht) te bereiken. Op een zichtlocatie langs de doorgaande weg is een efficiënte bedrijfsruimte voor verhuur beschikbaar.
De Platinastraat is gelegen op het bedrijventerrein Lansinghage en is via de Lansinghageweg en de Oostweg eenvoudig vanaf rijksweg A-12 (Den Haag-Utrecht) te bereiken.
KADASTRALE GEGEVENS
Gemeente : Zegwaard
Sectie : D
Nummer : 2630 (gedeeltelijk)
Bouwjaar : 1990
BESTEMMING
De bestemming van de Platinastraat 125 is "bedrijventerrein".
Bestemmingsplan : Kwadrant/vanTuyll sportpark/Brinkhage/Lansinghage
Planstatus : onherroepelijk (16-08-2013)
Overheid : gemeente Zoetermeer
Enkelbestemming : bedrijventerrein
Categorie : functieaanduiding bedrijf tot en met categorie 4,1 / detailhandel perifeer / kantoor
Maatvoering : maximum bebouwingspercentage terrein is 60% / maximum bouwhoogte is 14 m.
INDELING + OPLEVERINGSNIVEAU
De Platinastraat 125 heeft een totale oppervlakte van ca. 502 m² v.v.o., als volgt onderverdeeld:
- ca. 405 m² bedrijfsruimte
- ca. 97 m² kantoorruimte
Op eigen terrein van het gehele project zijn rondom parkeerplaatsen.
Het object wordt opgeleverd met onder andere de volgende voorzieningen:
Bedrijfsruimte
- betonvloer
- vloerbelasting 2.000 kg/m² (begane grond)
- verlichtingsarmaturen
- krachtstroomaansluiting
- vrije hoogte ca. 6 meter
- overheaddeur
Kantoorruimte
- c.v.-installatie
- te openen ramen
- systeemplafonds met verlichtingsarmaturen
- kabelgoten
- toiletten
- pantry
HUURCONDITIES
Huurprijs : € 53.000,- per jaar excl. BTW
Huurtermijn : in overleg
Huuringangsdatum: in overleg
Huurprijsindexatie : de huurprijs wordt jaarlijks geïndexeerd op basis van het Consumenten Prijsindexcijfer (CPI), reeks Alle huishoudens (2015=100) van het CBS. Voor het eerst een jaar na de huuringangsdatum
Bankgarantie : gelijk aan 3 maanden huur + 3 maanden servicekosten + BTW
Huurbetaling : per kwartaal vooruit, middels automatische incasso
Servicekosten : € 5,- per m² per jaar excl. BTW
Contract : model door de Raad voor Onroerende Zaken (ROZ) op 5 maart 2025 vastgesteld en het model is tevens gepubliceerd op de website www.roz.nl. inclusief aanvullende bepalingen verhuurder.
Voorbehoud : goedkeuring directie verhuurder/ positief bedrijfsinformatierapport; ter beoordeling van verhuurder.
BTW
Verhuurder wenst te opteren voor BTW-belaste huur en verhuur. Ingeval huurder de BTW niet kan verrekenen zal de huurprijs worden verhoogd ter compensatie van de gevolgen van het vervallen van de mogelijkheid om te opteren voor BTW-belaste huur.
Energielabel : F
Algemeen : de informatie betreffende de bedrijfsruimte aan de Platinastraat 125 te Zoetermeer is met zorg samengesteld. Voor de juistheid daarvan kan door Hopman en Schreuder Bedrijfshuisvesting BV geen aansprakelijkheid worden aanvaard, noch kan aan de vermelde gegevens enig recht worden ontleend. Alle opgegeven oppervlakten en afmetingen zijn indicatief. Deze informatie dient slechts als uitnodiging om in onderhandeling te treden en kan derhalve niet worden beschouwd als een aanbod of offerte. Van toepassing zijn de NVM voorwaarden.
Kenmerken
Overdracht
- Huurprijs
- € 53.000,- p.j. (21% BTW)
- Servicekosten
- € 5,- per vierkante meter p.j.
- Status
- beschikbaar
- Aanvaarding
- in overleg
Bouw
- Type
- Bedrijfsruimte
- Soort bouw
- bestaande bouw
- Bouwjaar
- 1990
- Onderhoud binnen
- goed
- Onderhoud buiten
- goed
- Energielabel
- F
Locatie
- Ligging
- bedrijventerrein
- Snelweg afrit
- < 500 m
- Bushalte
- 500 m - 1000 m
Bedrijfshal
- Oppervlakte
- 405 m²
- Vrije hoogte
- 600 cm
- Vloerbelasting
- 2000 kg / m2
- Voorzieningen
- Krachtstroom, Overhead deuren
Kantoorruimte
- Oppervlakte
- 97 m²
- Verdiepingen
- 1
- Voorzieningen
- Te openen ramen
Foto's
Plattegronden
Kaart
Reageer op dit object
Heb je interesse in dit object? Vul onderstaand jouw gegevens in en we nemen zo snel mogelijk contact met je op.










